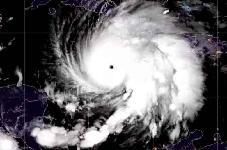
El Centro de Huracanes de EEUU describe a ‘Melissa’ como un huracán “extremadamente peligroso”
MADRID 28 Oct. (EUROPA PRESS) – El huracán ‘Melissa’ continúa este martes su avance hacia Jamaica mientras sigue ganando fuerza, lo que … Sigue leyendo El Centro de Huracanes de EEUU describe a ‘Melissa’ como un huracán “extremadamente peligroso”
Copia y pega esta URL en tu sitio WordPress para incrustarlo
Copia y pega este código en tu sitio para incrustarlo